• Eleveur : Delorme Freres
  • Casaque : L.grall/a.semmer-Cesari/f.hato
  • Entraineur : E Grall (s)
  • (25)Tc6c4c7c1c3c5c(24)4c4c6s

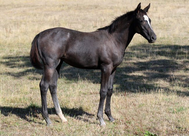
KANELLE COLLONGES F2020 (FR)

COASTAL PATH et QUADRETTE COLLONGES par FRAGRANT MIX

En images

  • Kanelle Collonges (Aout 2020)

Généalogie

Coastal Path
(GB - 2004)
HallingDiesis
Dance Machine
CoralineSadler'S Wells
Bahamian
Quadrette Collonges
(FR - 2004)
Fragrant MixLinamix
Fragrant Hill
Castille CollongesEl Bard
Gitane Collonges

Consulter le pedigree le plus récent de la famille

Performances au 30/04/2026

20/12
2025
Prix Francois de Juge Montespieu
Pau (FR)
C.4100mTj de KAHID DE FREGANDE
R Mayeur
20/10
2025
Prix Francois de Chevigny
Compiegne (FR)
C.4700m6e de DONNE LE CHANGE
T Beaurain
21/09
2025
Prix Saur - Prix de la Societe des Courses de Josselin
Ploermel (FR)
C.4500m4e de HERSENT DU MEE
R Mayeur
06/04
2025
Prix Butterfly du Mou - Prix Maurice Foucher
Le Lion d'Angers (FR)
C.4500m7e de GEMINI D'AX
T Beaurain
09/03
2025
Prix Quesny Transports Equins (Prix Imposant)
Moulins (FR)
C.4700m1e dv JOB D'ETE
T Beaurain
24/01
2025
Prix Jean Et Rene Couetil
Pau (FR)
C.4100m3e de KOUROUKOUKOU
T Beaurain
02/01
2025
Prix Paul Larregain
Pau (FR)
C.4100m5e de KATELL DES BLINS
T Beaurain
15/12
2024
Prix Henry Ridgway
Pau (FR)
C.4100m4e de KATELL DES BLINS
T Beaurain
10/11
2024
Prix Philippe Et Yann Roy
Durtal (FR)
C.4250m4e de NICAR DEL AVIGNON
T Beaurain
20/10
2024
Prix Wutzeline
Maure-de-Bretagne (FR)
S.3800m6e de KATIKA D'ENGILBERT
A Gautron
22/04
2024
Prix de Parempuyre
Bordeaux le Bouscat (FR)
S.3800m7e de SWING DU MATHAN
C Prichard
01/04
2024
Prix le Deuff
Loudeac (FR)
S.3500m2e de HABILE DES OBEAUX
R Mayeur
10/03
2024
Prix de Clairefontaine
Saint-Brieuc (FR)
S.3800m3e de KASHBACK WOOD
G re
08/02
2024
Prix Frederik Henry Prince
Pau (FR)
S.3900m5e de KABBALE
G re
04/01
2024
Prix de Bayonne
Pau (FR)
S.3900mTb de KANTAGUA DU LARGE
G re
17/12
2023
Prix Raymond de Bouglon
Pau (FR)
S.3400m4e de KORISTE
G re
10/11
2023
Prix Paulette Rolland (Prix Speranza)
Compiegne (FR)
H.3400m7e de KARAKTA
G re
26/09
2023
Prix d'Aix
Compiegne (FR)
H.3400m7e de LE BLAVET
G re
15/05
2023
Prix du Grand Maitre
Compiegne (FR)
H.3200m2e de FIMIBLUE
G re

Ventes & Shows Cheval et/ou de sa famille proche.

19/06
2025
Phoenix Collonges M25
Na Has x Ipomee Collonges
AQPS du Centre Est - Chaser Day Paray-le-Monial #77
Absent
21/05
2025
Flash Collonges H15
Saddler Maker x Prouesse Collonges
Goffs UK - Spring HIT/PTP Sale 2025 Doncaster #751
6.000£
R.K. Watson
12/12
2024
Hazard Collonges H17
Coastal Path x Prouesse Collonges
Tattersalls UK - December Online Sale Online #35
-
22/07
2024
Flash Collonges H15
Saddler Maker x Prouesse Collonges
Goffs UK - Summer Sale 2024 Doncaster #132
14.000£
Leech Racing Ltd
26/06
2024
Lucky Path F21
Coastal Path x Fantaisy Collonges
Tattersalls IRE - Derby Sale Fairyhouse #166
40.000€
Glennconnor Stud
20/06
2024
Masscote Collonges F22
Stellar Mass x Fantaisy Collonges
Saone-et-Loire Galop Allier - AQPS Chaser Day Paray-le-Monial #14
4ème
20/06
2024
Oh La La Collonges F24
Stellar Mass x Fantaisy Collonges
Saone-et-Loire Galop Allier - AQPS Chaser Day Paray-le-Monial #77
2ème
05/06
2024
Lucky Path F21
Coastal Path x Fantaisy Collonges
Tattersalls UK - Online June Sale Online #166
-
22/05
2024
Flash Collonges H15
Saddler Maker x Prouesse Collonges
Goffs UK - Spring HIT/PTP Sale 2024 Doncaster #726
Absent
10/09
2022
Masscote Collonges F22
Stellar Mass x Fantaisy Collonges
GalopAllier - AQPS Foal Show du Centre-Est Moulins #65
Non classé
10/09
2022
Magicien D'or H22
Willywell x Etoile Collonges
GalopAllier - AQPS Foal Show du Centre-Est Moulins #69
Non classé
16/06
2022
Kaciopee Collonges F20
Karaktar x Fantaisy Collonges
Saone-et-Loire Galop Allier - Chaser Day Paray-le-Monial #29
Non classé
16/06
2022
Masscote Collonges F22
Stellar Mass x Fantaisy Collonges
Saone-et-Loire Galop Allier - Chaser Day Paray-le-Monial #88
3ème
18/05
2022
Hazard Collonges H17
Coastal Path x Prouesse Collonges
Goffs UK - Spring HIT/PTP Sale Doncaster #619
17.000 £
Highflyer
17/06
2021
Lucky Path F21
Coastal Path x Fantaisy Collonges
Saone-et-Loire Galop Allier - Chaser Day Paray-le-Monial #129
3ème
05/09
2020
Kaciopee Collonges F20
Karaktar x Fantaisy Collonges
Saone-et-Loire Galop Allier - Chaser Day Paray-le-Monial #79
Non classé
12/08
2020
Hazard Collonges H17
Coastal Path x Prouesse Collonges
Goffs Ireland - Land Rover Sale Kill #454
Absent
27/07
2020
Hazard Collonges H17
Coastal Path x Prouesse Collonges
Goffs UK - Doncaster Summer Sale Doncaster #655
42.000£
Highflyer Bloodstock/Alan King
18/05
2019
Fontaine Collonges F15
Saddler Maker x Saturne Collonges
Arqana - Vente du Grand Steeple Auteuil #1
180.000€
PETIT Guy
27/06
2018
Flash Collonges H15
Saddler Maker x Prouesse Collonges
Tattersalls IRE - Derby Sale Fairyhouse #47
95.000€
Tom Malone/Paul Nicholls
25/08
2017
Hazard Collonges H17
Coastal Path x Prouesse Collonges
AQPS du Centre Est - Concours AQPS - Finale interrégionale Decize #108
Non classé
16/06
2017
Fantaisy Collonges F15
Lord Du Sud x Tolede Collonges
Saone-et-Loire Galop Allier - Chaser Day Paray-le-Monial #12
Non classé
16/06
2017
Hercule Collonges H17
Saddler Maker x Saturne Collonges
Saone-et-Loire Galop Allier - Chaser Day Paray-le-Monial #106
Non classé
26/08
2016
Guetapan Collonges M16
Saddler Maker x Saturne Collonges
AQPS du Centre Est - Concours AQPS de Decize Decize #84
1er
17/06
2016
Energy Collonges F14
Lord Du Sud x Tolede Collonges
Saone-et-Loire Galop Allier - Chaser Day Paray-le-Monial #1
Non classé
17/06
2016
Guetapan Collonges M16
Saddler Maker x Saturne Collonges
Saone-et-Loire Galop Allier - Chaser Day Paray-le-Monial #90
1er
28/08
2015
Fantaisy Collonges F15
Lord Du Sud x Tolede Collonges
AQPS du Centre Est - Finale Interrégionale et vente de Decize Decize #80
3ème
19/06
2015
Darling Collonges F13
Astarabad x Quadrette Collonges
Saone-et-Loire Galop Allier - Chaser Day Paray-le-Monial #12
1er
19/06
2015
Fontaine Collonges F15
Saddler Maker x Saturne Collonges
Saone-et-Loire Galop Allier - Chaser Day Paray-le-Monial #63
3ème
19/06
2015
Flash Collonges H15
Saddler Maker x Prouesse Collonges
Saone-et-Loire Galop Allier - Chaser Day Paray-le-Monial #95
Non classé
29/08
2014
Etincell Collonges F14
Kap Rock x Prouesse Collonges
AQPS du Centre Est - Finale Interrégionale et vente de Decize DECIZE #58
Non classé
29/08
2014
Etoile Collonges F14
Alberto Giacometti x Saturne Collonges
AQPS du Centre Est - Finale Interrégionale et vente de Decize DECIZE #75
Non classé
20/06
2014
Etoile Collonges F14
Alberto Giacometti x Saturne Collonges
Saone-et-Loire Galop Allier - Chaser Day Paray-le-Monial #71
4ème
30/08
2013
Deesse Collonges F13
Alberto Giacometti x Prouesse Collonges
AQPS du Centre Est - Concours AQPS interrégional du Centre-Est Decize #71
5ème
28/06
2013
Deesse Collonges F13
Alberto Giacometti x Prouesse Collonges
Saone-et-Loire Galop Allier - Concours de foals et 2 ans AQPS et PS à destination obstacle. Paray-le-Monial #73
2ème
13/12
2012
Cesar Collonges H12
Fragrant Mix x Prouesse Collonges
Goffs UK - NH Mare & Foal Sales 2012 Doncaster #63
Racheté
28/08
2012
Cesar Collonges H12
Fragrant Mix x Prouesse Collonges
AQPS - Concours interrégional AQPS de modèle et allures Decize #103
Non classé
26/08
2011
N11 (prouesse Collonges) M11
Dom Alco x Prouesse Collonges
AQPS du Centre Est - Concours interrégional AQPS de modèle et allures Decize #99
Non classé